Dalintis

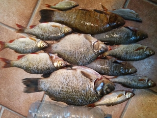
Auksinis karosas

(Carassius carassius) 1267
Pagavo:
kamazai99 Raimundas Glinskis
Svoris: 1.80kg.
Pagavimo laikas: 2016-08-28 19:45
Pagavimo vieta:
Dvariukų Tvenkinys
Šiaulių apskritis, Pakruojo rajono savivaldybė, Lietuva
Įkėlė: kamazai99 Raimundas Glinskis
+20C
rytų, 2m/s
normalus, krentantis
delčia

Laimikio komentarai (0)

00
Nori pasveikinti arba pagirti žveją? Turi jam pastabų? Galbūt nori pasiteirauti daugiau informacijos apie laimikį? Komentuok:
Pasveikink kamazai99